














Book your tour. Save an average of $18,473. We'll handle the rest.
We collect exclusive builder offers, book your tours, and support you from start to housewarming.
- Confirmed tours
- Get matched & compare top deals
- Expert help, no pressure
- No added fees
Estimated value based on Jome data, T&C apply
- 3 bd
- 2.5 ba
- 1,824 sqft
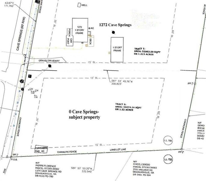
0 Cave Springs Rd, Douglasville, GA 30134
Why tour with Jome?
- No pressure toursTour at your own pace with no sales pressure
- Expert guidanceGet insights from our home buying experts
- Exclusive accessSee homes and deals not available elsewhere
Jome is featured in
- Single-Family
- Under construction
- $219.3/sqft
- 1.22-acre lot
Home description
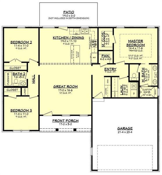
Welcome to your brand new, modern farmhouse retreat on 1.2 level, cleared acres and no HOA! Close proximity to Hwy 91, Hwy 5, and 5 minutes from downtown Douglasville! This well-constructed new build will feature a large family room with a cozy fireplace and lots of natural light through the windows. The kitchen will stand out with a spacious 6ft island and wood cabinetry. The builder is slightly re-designing the kitchen to add additional cabinetry and countertop space. All appliances included; stainless steel gas range, refrigerator, dishwasher, vent hood. Main floor has a powder room and a convenient drop zone/ mud room space for organization coming in from the garage. The upstairs houses your private, primary bedroom retreat with a huge walk in closet, double vanity and spacious stand up shower. The additional 2 bedrooms are nicely placed with a shared jack & jill bathroom in between them, and well-sized closets for each bedroom. Laundry room is within close proximity to bedrooms and has countertop space for folding plus storage space above the washer/dryer. Two car garage, kitchen level. This newly constructed home will be completed around June 2026. The builder is Trailside Equities- A local builder specializing in boutique, custom homes in the ATL metro area. Don't pass up this opportunity to own your own beautiful modern farmhouse retreat on a stunning piece of property! This home can be purchased during any phase of construction- please reach out to the builder for more information about your options.
Zach Taylor Real Estate, MLS 7695327
Information last verified by Jome: Today at 2:18 AM (February 27, 2026)
Book your tour. Save an average of $18,473. We'll handle the rest.
We collect exclusive builder offers, book your tours, and support you from start to housewarming.
- Confirmed tours
- Get matched & compare top deals
- Expert help, no pressure
- No added fees
Estimated value based on Jome data, T&C apply
Home details
- Property status:
- Under construction
- Lot size (acres):
- 1.22
- Size:
- 1,824 sqft
- Stories:
- 2
- Beds:
- 3
- Baths:
- 2
- Half baths:
- 1
- Garage spaces:
- 2
- Fence:
- No Fence
Construction details
- Year Built:
- 2026
- Roof:
- Composition Roofing
Home features & finishes
- Cooling:
- Central Air
- Flooring:
- Vinyl FlooringCarpet FlooringTile Flooring
- Foundation Details:
- Slab
- Garage/Parking:
- Door OpenerGarageFront Entry Garage/Parking
- Interior Features:
- Ceiling-HighWalk-In ClosetPantryTray CeilingWalk-In PantryDouble Vanity
- Kitchen:
- DishwasherRefrigeratorDisposalElectric CooktopGas CooktopKitchen IslandGas OvenKitchen Range
- Laundry facilities:
- Laundry Facilities On Upper LevelLaundry Facilities On Main LevelUtility/Laundry Room
- Property amenities:
- Electric FireplacePatioFireplaceYardPorch
- Rooms:
- Primary Bedroom On MainKitchenLiving RoomOpen Concept FloorplanPrimary Bedroom Downstairs

Get a consultation with our New Homes Expert
- See how your home builds wealth
- Plan your home-buying roadmap
- Discover hidden gems
Utility information
- Heating:
- Central Heating
- Utilities:
- Electricity Available, Natural Gas Available, Water Available
Neighborhood
Home address
- City:
- Douglasville
- County:
- Douglas
- Zip Code:
- 30134
Schools in Douglas County School District
GreatSchools’ Summary Rating calculation is based on 4 of the school’s themed ratings, including test scores, student/academic progress, college readiness, and equity. This information should only be used as a reference. Jome is not affiliated with GreatSchools and does not endorse or guarantee this information. Please reach out to schools directly to verify all information and enrollment eligibility. Data provided by GreatSchools.org © 2025
Places of interest
Getting around
Air quality
Noise level
A Soundscore™ rating is a number between 50 (very loud) and 100 (very quiet) that tells you how loud a location is due to environmental noise.
Natural hazards risk
Provided by FEMA

Considering this home?
Our expert will guide your tour, in-person or virtual
Need more information?
Text or call (888) 488-9243
Financials
Estimated monthly payment
Let us help you find your dream home
How many bedrooms are you looking for?
Similar homes nearby
Recently added communities in this area
Nearby communities in Douglasville
New homes in nearby cities
More New Homes in Douglasville, GA
Zach Taylor Real Estate, MLS 7695327
Some IDX listings have been excluded from this IDX display. Listings identified with the FMLS IDX logo come from FMLS and are held by brokerage firms other than the owner of this website. The listing brokerage is identified in any listing details. Information is deemed reliable but is not guaranteed. If you believe any FMLS listing contains material that infringes your copyrighted work please click here to review our DMCA policy and learn how to submit a takedown request. © 2025 First Multiple Listing Service, Inc.
Read moreLast checked Feb 27, 1:40 pm
- Jome
- New homes search
- Georgia
- Atlanta Metropolitan Area
- Douglas County
- Douglasville
- 0 Cave Springs Rd, Douglasville, GA 30134

























